PROPERTY RECORD CARD | PROPERTY APPRAISER MAP
GOOGLE MAP LINK | ZILLOW MAP LINK
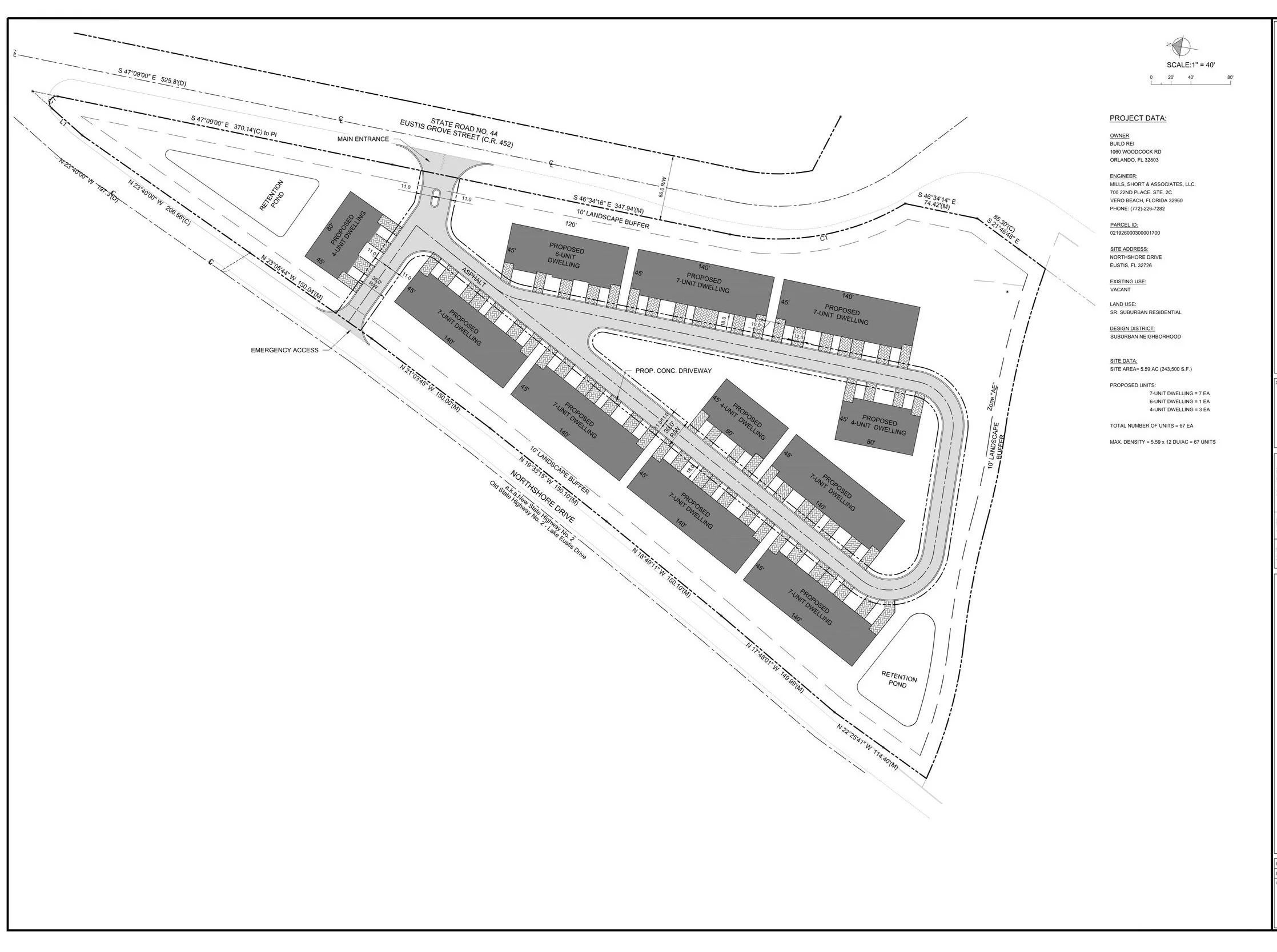
67 UNITS CAN BE DEVELOPED FOR INDIVIDUAL SALE, A MULTI FAMILY COMMUNITY AND/OR PERMISSIBLE FOR MEDICAL USE
PROJECT OVERVIEW
The Eustis Lakeside project will be developed as a 67 new construction townhome community and is labeled as the Northern Gateway into the City of Eustis, Florida! The property runs along a major thoroughfare (SR 19 & CR 452) sandwiched between two large lakes (Trout Lake & Lake Eustis) with a canal (Trout Run). Great local schools, beautiful neighboring subdivisions, access to all major utilities offered by the city, just north of downtown with all major amenities such as; Eustis Lake Walk, City Pool & Splash Pad, Ferran Park and the Alice McClelland Memorial Bandshell, Veterans Memorial, Shopping, Restaurants and More!! Not to mention the new 6 billion freeway infrastructure project connecting Orlando and all of Central Florida to this location, makes this prime real estate. Population within Lake County alone will grow by 3 million over the next 5 years with a current housing demand that cannot be met at this time. The adjacent lake to the west is Lake Eustis, a lake in Lake County, Florida. It is part of the Upper Ocklawaha River Basin, a sub-watershed of the St. Johns River. It is one of seven lakes in the Harris Chain of Lakes or “Ocklawaha Chain of Lakes”.
ENTITLEMENTS INCLUDE MCR DESIGNATION; MAX 72 RESIDENTIAL DOORS AND/OR 22,800 SQ FT OF COMMERCIAL SPACE
Total project area is 6.08 acres +/-, 264,849 sf +/-
Design District - Suburban Corridor
Central Water and Sewer from City of Eustis
City and Water Impact Fee Credits Approved Up To 67 Doors ($854 Water | $2668 Sewer - Per Door = $235,974 Impact Fee Waivers)
3 Operating Billboards on the property
Canal which provides access to Trout Lake & Lake Eustis
Hwy 19 offering a daily traffic count of approximately 20,000+ cars per day - https://tdaappsprod.dot.state.fl.us/fto/
MEDICAL, ALF, MEMORY CARE PERMISSIBLE
Funding Available for the Acquisition, Horizontal Infrastructure and Vertical Construction
SOME KEY LOCAL PROJECTS UNDERWAY:
$6 billion dollar freeway infrastructure connection project, connecting the 429, 417, I-4, Florida Turnpike & CR 46
Lake Eustis sailing club where they will be putting in a new $17M sailing conference center with the University of Central Florida
Downtown Eustis, less than .5 miles from our project they have approved a $65M development project for downtown
$26M assisted living and memory care facility set to break ground in the next 18 months
TOWNHOME CONCEPT DESIGN APPROVED
67 RESIDENTIAL TOWNHOMES
